- Advertisement -

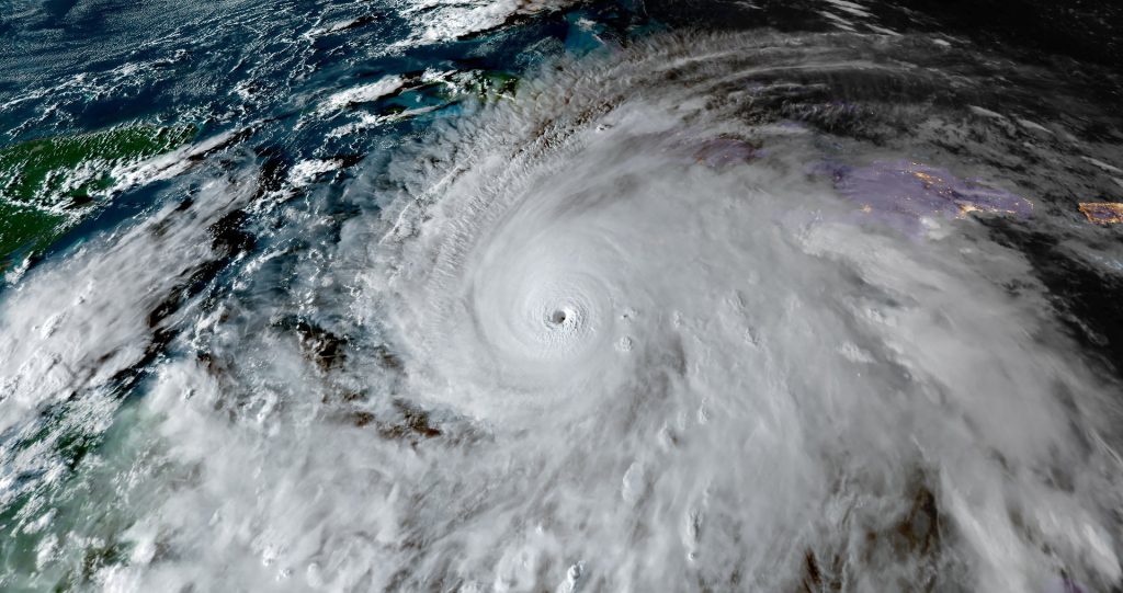
Την καταστροφή σκόρπισε στην Τζαμάικα και την Αϊτή ο τυφώνας «Μελίσα», η χειρότερη καταιγίδα που έχει καταγραφεί ποτέ σε αυτά τα νησιωτικά κράτη της Καραϊβικής. Προχωρώντας, χθες το βράδυ, ο τυφώνας σάρωσε την Ανατολική Κούβα, καταστρέφοντας την πόλη του Σαντιάγο και πλημμυρίζοντας αγροτικές εκτάσεις, παρότι είχε υποβαθμιστεί από κατηγορία 5 σε κατηγορία 3 με ανέμους 150 χλμ. την ώρα.
Η, ιστορικών διαστάσεων, καταιγίδα έπληξε αρχικά τη Δυτική Τζαμάικα, κατεδαφίζοντας σπίτια, γκρεμίζοντας δέντρα και καταστρέφοντας δρόμους. Οι Αρχές δεν έχουν ακόμη δημοσιεύσει τον αριθμό των θυμάτων, που αναμένεται να είναι υψηλός. Στη Νότια Αϊτή δεκάδες σπίτια κατέρρευσαν, με αποτέλεσμα να έχουν καταγραφεί δεκάδες θάνατοι.
Αναφορές αυτοπτών μαρτύρων και βίντεο στα μέσα κοινωνικής δικτύωσης από την Τζαμάικα έδειξαν οχήματα κατεστραμμένα από συντρίμμια που εκτινάχθηκαν πολλά μέτρα μακριά, πόρτες ξενοδοχείων που έχουν ξεριζωθεί από τους μεντεσέδες και στέγες διάσπαρτες σε γειτονιές. Βίντεο από το αεροδρόμιο στο Μοντέγκο Μπέι έδειξε πλημμυρισμένους χώρους καθισμάτων, σπασμένα γυαλιά και οροφές που κατέρρευσαν. Η υπουργός Παιδίας Ντέινα Μόρις Ντίξον διευκρίνισε ότι το 77% του νησιού έμεινε χθες χωρίς ηλεκτρικό ρεύμα.
Στην Ανατολική Κούβα περίπου 735.000 άνθρωποι αναγκάστηκαν να εγκαταλείψουν τα σπίτια τους καθώς πλησίαζε η καταιγίδα, ανέφεραν οι Αρχές. Ο πρόεδρος της χώρας Μιγκέλ Ντίαζ-Κανέλ ανακοίνωσε ότι η Κούβα υπέστη εκτεταμένες ζημιές και προειδοποίησε τους κατοίκους να μη χαλαρώσουν την επαγρύπνησή τους, προτρέποντάς τους να παραμείνουν προστατευμένοι. Οι Αρχές διέκοψαν την ηλεκτροδότηση σε όλη την Ανατολική Κούβα, εκκένωσαν ευάλωτες περιοχές και ζήτησαν από τους κατοίκους να καταφύγουν στην πρωτεύουσα της επαρχίας, Σαντιάγο, μια πόλη 400.000 κατοίκων.
Φωτογραφίες και βίντεο που δημοσιεύτηκαν αποκάλυψαν ένα χαοτικό σκηνικό, με πεσμένα καλώδια ρεύματος, σπασμένα παράθυρα, δέντρα και συντρίμμια διάσπαρτα στους δρόμους. Οι Αρχές ανέφεραν εκτεταμένες πλημμύρες σε πεδινές περιοχές από το Σαντιάγο μέχρι το Γκουαντάναμο, τις οποίες είχε εκκενώσει πάνω από το 35% του πληθυσμού.
Η χρονική στιγμή δεν θα μπορούσε να είναι χειρότερη για το νησί, το οποίο ήδη υποφέρει από προβλήματα τροφίμων, καυσίμων, ηλεκτρικού ρεύματος και ελλείψεις φαρμάκων που έχουν περιπλέξει τη ζωή, προκαλώντας ρεκόρ μετανάστευσης από το 2021.
Στη Νοτιοδυτική Τζαμάικα, μεγάλες περιοχές καλύφθηκαν από νερά, με περισσότερους από 500.000 κατοίκους να έχουν μείνει χωρίς ρεύμα. «Οι αναφορές που έχουμε μέχρι στιγμής περιλαμβάνουν ζημιές σε νοσοκομεία, σημαντικές ζημιές σε οικιστικά ακίνητα, κατοικίες και εμπορικά κτίρια, καθώς και ζημιές στις οδικές μας υποδομές» δήλωσε ο πρωθυπουργός της Τζαμάικα Αντριου Χόλνες στο CNN μετά το πέρασμα της καταιγίδας.
Οι μετεωρολόγοι της AccuWeather ανακοίνωσαν ότι η «Μελίσα» κατατάσσεται ως ο τρίτος πιο έντονος τυφώνας που παρατηρήθηκε στην Καραϊβική, μετά τους «Γουίλμα» το 2005 και «Γκίλμπερτ» το 1988 – την τελευταία μεγάλη καταιγίδα που έφτασε στην Τζαμάικα.
Οι επιστήμονες λένε ότι οι τυφώνες παρουσιάζονται με μεγαλύτερη ένταση και συχνότητα ως αποτέλεσμα της θέρμανσης των ωκεάνιων υδάτων που προκαλείται από τις εκπομπές αερίων του θερμοκηπίου. Πολλοί ηγέτες χωρών της Καραϊβικής έχουν καλέσει τα πλούσια και πολύ ρυπογόνα κράτη να παράσχουν αποζημιώσεις με τη μορφή βοήθειας ή ελάφρυνσης του χρέους σε τροπικές νησιωτικές χώρες.
Οι άνεμοι της «Μελίσα» υποχώρησαν καθώς η καταιγίδα πέρασε από τα βουνά της Τζαμάικας, πλήττοντας τις ορεινές κοινότητες, ευάλωτες σε κατολισθήσεις και πλημμύρες. «Η χώρα μας έχει καταστραφεί από τον τυφώνα “Μελίσα”, αλλά θα ανοικοδομήσουμε και θα την κάνουμε ακόμα καλύτερα από πριν» είπε προσπαθώντας να δώσει ελπίδα στους εκατοντάδες χιλιάδες πληγέντες ο πρωθυπουργός Χόλνες. Ο πρόεδρος των ΗΠΑ Ντόναλντ Τραμπ δήλωσε χθες έτοιμος να βοηθήσει την Τζαμάικα στην ανάκαμψη. Το υπουργείο Εξωτερικών ανακοίνωσε ότι θα στείλει ομάδες έρευνας και διάσωσης.
Στις Μπαχάμες, επόμενο κράτος μετά την Κούβα στην πορεία της «Μελίσα» προς τα βορειοανατολικά, η κυβέρνηση διέταξε εκκενώσεις κατοίκων στα νότια τμήματα του αρχιπελάγους. Πιο ανατολικά, το νησί που μοιράζονται η Αϊτή και η Δομινικανή Δημοκρατία αντιμετώπισε αρκετές ημέρες καταρρακτωδών βροχοπτώσεων που προκάλεσαν πολλές καταστροφές.
Comments are closed.